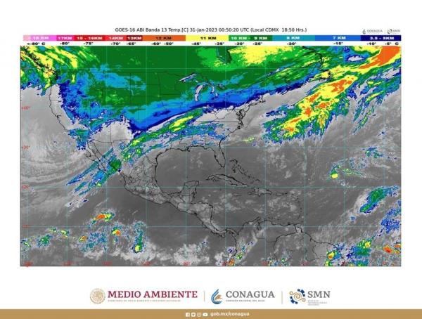
Pronostican lluvias fuertes en Baja California y Sonora
Durante la noche de hoy y la madrugada de mañana, se prevé caída de aguanieve o nieve en sierras de Baja California, Chihuahua, Durango, el norte de Sinaloa y Sonora.
Redacción/El Sol de Nayarit

Martes, 31 de enero del 2023, 3:04:37 AM
Comentarios
Agrega un Comentario
Nota.- Se recomienda discreción a la hora de vertir un comentario ya que todo lo que se escriba se publicará sin edición, restricción o censura alguna. El Sol de Nayarit se reserva el derecho de eliminar algún comentario que considere difamatorio o que pudiera ser ofensivo para alguna persona.